Historic Hannibal Homes
Self-Guided Tour #2

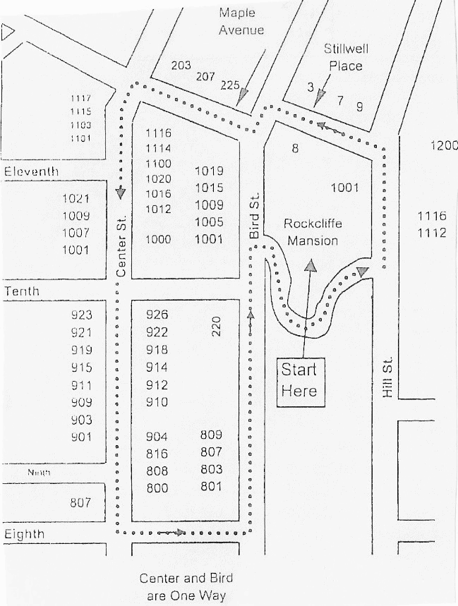
The Friends of Historic Hannibal invite you to take this self-guided tour. Hannibal has many examples of 19th century homes. Some are restored and some are not. After the Civil War, many of the great homes were built by lumbermen. If you drive, please note the one-way streets. House numbers are perpendicular to the street they face.
1000 Bird St. Rockcliffe Mansion 1898 Greek Revival – Built by John J. Cruikshank, Jr. It was the last and biggest of the great homes built by lumbermen. Rockcliffe was abandoned for forty years before being restored by local families just weeks before it was to be torn down as a safety hazard in the 1960s. Mark Twain visited here in 1902 and spoke from the grand staircase, giving a 10-minute talk that lasted for two hours. The house is open for tours.
1001 Hill St. Sumner T. McKnight House 1877 Italianate/Eastlake – Built by Hogg and Shedd(!) for McKnight, this house was moved from the Rockcliffe site to make way for Rockcliffe. McKnight was later a founder of 3M. The house faces Bird St. The daughter of John J. Cruikshank married Milton Knighton, president of White Star Laundry, and the couple lived in this house for many years. The house was donated to the Hannibal Arts Council who later sold to private owners. It is wonderfully restored.
1112 Hill St. Nepper-Landau House 1895 Queen Anne – Harry Nepper was a dentist. Adolph Landau ran a dry goods store on Market Street.
1116 Hill St. Northam-Jones House 1904 Greek Revival – Northam was the head clerk at the German American Bank. Evan Jones was Laura ( Mrs. W. B.) Pettibone’s brother and served as secretary/treasurer of McIntyre-Jones Lumber and Coal Co. The Colonial Revival porch was added later.
1200 Hill St. Robert B. and Emma Simonson House 1892 Queen Anne – Simonson was Superintendent of Hannibal Schools for many years. In 1907, Charles Hayes bought the house. He was a lawyer and 10th Circuit Court Judge in the 1920s.
9 Stillwell Place George D. and Mamie M. Clayton House 1892 Queen Anne – This house has undergone several alterations through the years. The porch was originally one story. A second story was added around 1913 and was enclosed with glass years later. George D. Clayton was active in real estate and insurance as well as many civic groups. Mark Twain dined here on his last visit to Hannibal in 1902.
7 Stillwell Place John C. and Elizabeth West House 1904 Colonial Revival – Note the Palladian shaped dormer with miniature pilasters. The porch is a well-done recreation of the Colonial Revival style. John was a traveling salesman at the time but later was manager of the Miller Shoe Company. They lived in this house until the early 1940’s.
8 Stillwell Place Cliffside 1912 Georgian – Built by Chicago architect Howard Van Doren Shaw for philanthropist W. B. Pettibone. Pettibone lived here until his death in 1946. Pettibone donated land for parks, schools, hospitals, etc. He personally guaranteed the savings accounts of 3,000 school children when banks failed during the Great Depression.
3 Stillwell Place Thomas B. and Lydia Loudon House 1895 Queen Anne – The Queen Anne features are reserved yet the house is imposing, a triumph in architecture. The only missing feature is the original porch. The 1925 garage retains its original doors. Thomas was in the livery business and later the meat business.
225 N. Maple Ave. Andrew Settles House 1872 Second Empire – Settles, a dry goods merchant, built this house. His wife had the porch added in 1910.
207 N. Maple Ave. Doyle-Mounce House 1880 Second Empire – Built by railroad man Doyle, this house was embellished by lumberman John W. Mounce who was an officer in the Hannibal National Bank.
203 N. Maple Ave. John T. Holme House 1878 Italiante – Built by real estate and insurance agent Holme, his son was president of Farmers and Merchants Bank.
1117-1119 Center St. Dick Milton Strong House 1896 Queen Anne – The son of Milton Strong and brother of Vincent Strong, Dick also worked in the family’s dry goods business.
1116 Center St. Carter-Hickman House 1881 Tudor Revival – This was built by Spencer Carter, president of Hannibal National Bank and owner of Empire and Eagle Mills, a grain operator.
1115 Center St. Vincent Strong House 1886 Queen Anne – Vincent Strong served as president of the Milton Strong Dry Goods Co.
1114 Center St. Samuel F. Schultz House 1902 Craftsman
1103 Center St. Lovett-Chowning House 1889 Queen Anne – Fred Lovett sold this house to Dr. Thomas Chowning in 1900. Chowning served as a Hannibal doctor for many years.
1100 Center St. Frank G. and Agnes V Richards House 1924 Prairie – Notice the house is recessed from the street to emphasize the horizontal nature of the Prairie style. The house looks younger than its 1924 construction. Frank Richards operated a pharmacy that put in an earlier soda fountain that became a favorite gathering spot. He also followed his father as a vice president of Farmers and Merchants Bank.
1101 Center St. James W. Whaley House 1890 Queen Anne – Whaley family worked in many capacities. Theron Parks bought the house in 1904 and was the first Hannibal Fire Chief.
1020 Center St. Jesse H. McVeigh House 1885 Second Empire – McVeigh, a partner with the Dulanys in the Empire Lumber Co. built the house. The elaborate porches were added about 1900.
1021 Center St. Lyman P. Jackson House 1891 Queen Anne – This Queen is partially hidden by the Art Deco porches. Jackson was manager of the Hannibal Sash and Door Factory. This house is filled with quality woodwork. Later, Theodore Rendlen, president of Rendlen Liquor Co., lived in this house.
1016 Center St. John Oliver Hogg House 1881 Queen Anne – That is right, Hannibal has the most beautiful Hogg House in Missouri. Hogg came from a family of architects.
1009-1011 Center St. A Double House 1889-1892 Late Victorian – Elaborate for a double house, it was always a rental.
1012 Center St. House 1896 Colonial Revival Four Square – This house has its original carriage house. The windows are still the washed 4 over 4.
1007 Center St. Clarence B and Della C. Parks House 1917 – Clarence Parks was a teller at the Hannibal Trust Company and later a salesman.
1001 Center St. Dulany-Mahan House 1913 Prairie – Designed by Ernest Schmidt, it is an early example of the Frank Lloyd Wright style.
1000 Center St. Ebert-Dulany House 1865 Second Empire – This was built by William Ebert, publisher of the Hannibal Courier. It was purchased by George William Dulany, manager of the Empire Lumber Co.
923 Center St. Kettering-Loomis House 1893 Queen Anne – The interior has fine oak woodwork. Kettering was owner of Kettering-Remberg Cigar Company. This is another example of a Hogg and Shedd building.
926 Center St. George Collins House 1870 Italianate – This was one of the first houses of the area. It helped to create Center Street as the place to live. A Craftsman style porch was added around 1910. Collins was in the book and stationary business at 110 N. Main.
921 Center St. Simeon F. and Marguerite E. Roderick House 1902 Queen Anne/Colonial Revival – Roderick, a wagon maker, built this house. Although this house has aluminum siding, the overall massing of the house shows through.
922-924 Center St. A Double House 1896 Originally Folk Victorian with Craftsman style details added later – The house was built symmetrical and the symmetry has been maintained through some changes. The square tapered porch columns, the fake shutters and the asphalt on the gable ends show the Craftsman additions. Robert Simonson, long time superintendent of schools, was the first to live in the east part until his home at 1200 Hill Street was completed around 1904.
919 Center St. Denman-Hornback House 1893 Queen Anne – The Rev. Darnel T. Denman was pastor of Fifth Street Baptist Church. Dr. E. T. Hornback was a doctor honored for 50 years of service.
918 Center St. Oliver Whaley House 1883 Italianate – Whaley was in the clothing business. Aside from the replaced front porch, the building remains intact. The original porch probably wrapped around to the east side to join the east porch. The soffit has single brackets separated by three modillions. The windows have elaborate hoods with a semi-circular arched medallion and tassel-like drops on each side.
915 Center St. John A. Sydney House 1892 Queen Anne – Sydney was a bookkeeper for Herriman and Curd Lumber Co.
914 Center St. Seibel House 1906 Colonial Revival – Brothers Edward and Charles were in the cigar business. This long narrow house is unusual for Hannibal and would feel more at home in New England. Ornamentation is minimized highlighting the clapboard siding.
911 Center St. Logan-Gore House 1896 Queen Anne – John Logan Sr. ran the Bluff City Shoe Co. Roberta Adelaide Gore moved here in 1902.
912 Center St. William M. and Gladys Hawkins House 1906 Colonial Revival – One of the most substantial brick houses in the area, it was vacant from 1929 to 1937. Notice the bowed bay and the distinctive Colonial Revival details and 12 over 1 window.
910 Center St. Charles C. Rhodes House Pre-1869 – This old house has been modernized several times giving it odd proportions of the front bay in relationship to the gable end.
909 Center St. Louisa Johnson House 1893 Queen Anne
903-905 Center St. 1906-1913 – This 2-and-half-story clapboard, flared hipped roof building has always been called flats. It has two central corbelled chimneys and some Colonial Revival details.
901 Center St vernacular pre-1890 – Although the exterior has been changed, the original form is intact.
816 Center St. 1906-1913 Thomas C. and Margaret Lamey House Queen Anne – Although simple in structure, it is very little altered from the original design.
808-810 Center St. 1896 Queen Anne – An unusual symmetrical design from a style mostly asymmetrical.
806 Center St. Charles Walker House Queen Anne – Charles Walker with his father and son ran a pharmacy business for years.
800 Center St. James Franklin Davidson House 1909 Georgian Revival – The only Georgian Revival house in the area it is a Hogg and Sons design. Davidson was a lawyer and state representative for several years.
118 N 9th St. Dr. Ulysses S. and Helen H. Smith House 1913 Four Square with some Prairie and a Colonial Revival Porch – Dr. Smith was an eye, ear, nose and throat specialist. The garage is original to the house and the oldest in the area.
116 N 9th St. pre-1885 Federal (Adams) – Research reveals little about this house. The rock fountain indicates it is the oldest in the area. The house has done well considering that occupants tend to stay for short times. Notice 6 over 1 window, the porthole window and the recessed entry door.
114 N 9th St. Eldridge and Arabelle House 1890 Folk Victorian Cottage – A rare example of this style in Hannibal, the original porch was altered around 1910 to be a wraparound porch. The house changed hands several times until 1907 when Fred and Carrie Buchanan lived here from 1907 until 1950.
801 Bird St. Frank L. and Bertha L. Kelly House 1896 Queen Anne – This spindled Queen Anne has an unusual gable on a hip roof facing Bird Street. Notice the thick middle belt of staggered shingles that also covers the turret. Frank Kelly was the president of Hannibal Commercial College.
803 Bird St. 1884 Vernacular Gothic – Notice the off-centered windows and porch. The asbestos siding is not original but was added in the 1930s in the period of significance for the Maple Avenue Historic District.
807 Bird St. Frederick R. and Maria Lockling House 1884 Italianate – Notice the 6 over 4 windows and the original arcade porch. This is a classic Italianate for Hannibal. Frederick Lockling was a civil engineer and served in many capacities in private and public using his considerable civil engineering skills. This house has stood well considering several years of unsecured abandonment.
809 Bird St. Elizabeth Riedel House 1889 Queen Anne – What appears to be the front of the house is actually a massive 2-and-a-half story bay. Each level of the bay has a set of three grouped windows. Each level of windows is different. Elizabeth Riedel was the widow of George Riedel, the successful owner of City Brewery, who died in 1892. She lived here until 1922.
220 N 10th St. John J. Conlon House 1884 Italianate/Queen Anne – Conlon made a fortune as a lumberman. The house sits high because of natural rock under the house. He was one of the last lumbermen.
1001-1003 Bird St. Henry A. and Ernest Riemann Double House 1884 – Because of recent vinyl siding of this house covering original treatments and many details of windows and door openings, this is a noncontributing member of the Maple Avenue Historic District. Henry Riemann was a contractor builder and probably built this house. Ernest was a clerk in grocery stores. Several distinguished families lived in this house over the years. However, in recent years stability declined. In the Great Depression the house was split into four apartments.
1005-1007 Bird St. A Double House 1887 Folk Victorian – City Directors indicate that this was a home for single people. Other families occasionally lived here. From 1923 until 1931 Robert and Frances Clayton lived here until moving to #3 Stillwell Place. Notice the overall symmetry and the interesting rooflines.
1009 Bird St. Norman D. and Dean B Frost House 1908 Four Square with Prairie School details – Dean Frost was the general foreman for the cement plant south of town. Later Henry Jenkins, the superintendent of the International Shoe company, lived here. Adding to the significance, the builder was Arthur W. Hogg of Hogg and Sons. The Hogg family built many of the Hannibal homes.
1015 Bird St. George W. Dulany House 1884 Italianate – George Dulany was the manager of Empire Lumber Company. In 1888, he moved to 1000 Center Street, a much larger and more prominent house.
1019 Bird St. Richard R. and Mary Josephine McIntyre House 1897-1898 Queen Anne Kansas City Shirtwaist – This house was built by the Hogg family, which was several generations of respected builders in the Hannibal area. Notice how the front gabled bay has a broken pediment gable. The houses on both sides have been demolished leaving this house with area around it.

